Szupertájfun Kínában: százezreket evakuálnak, az iskolákat is bezárták
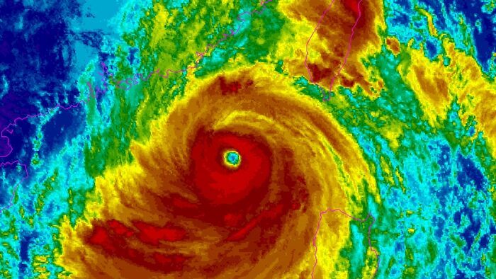
Az év legerősebb trópusi ciklonja csapott le Kína délkeleti partvidékére. A Ragasa szupertájfun miatt járatok százait törölték és csaknem egymillió embert evakuáltak Kínában, Hongkongban és Tajvanon. A lakosság pánikvásárlásba kezdett.


1/11










